When starting the construction of any project, the first and most crucial step is to have design drawings of company building. This foundational preparation is indispensable in the construction process. Particularly for company building projects, the design drawings not only detail architectural elements but also provide a comprehensive plan that includes necessary data such as structure, technical systems, and technological solutions to ensure the project's feasibility and efficiency. Accurate and complete design drawings of company building help avoid errors during construction, optimize costs and time, and ensure the project's safety and quality.
Let's delve deeper into the essential elements of a professional design drawing of a company building with BIC. We will provide detailed and useful information to give you a thorough and insightful overview of the company building design and construction process, ensuring your project is executed effectively and successfully.
The more detailed and clear a drawing, the more standardized the construction process will be, helping to accurately determine the investment cost. Pre-engineered company building drawings need to be designed from the initial steps by highly skilled construction engineers using specialized technical support software. This ensures the drawings are as accurate as possible, contributing to the best quality of the pre-engineered company building.
.jpg)
The Importance of Company Building Design:
- Construction Planning: The drawings help contractors understand the scale, structure, materials, and technical requirements of the project, enabling them to create detailed, reasonable, and scientific construction plans.
- Construction Supervision: Drawings are crucial documents for supervising the construction, ensuring the project is executed according to the design, ensuring quality and safety.
- Project Payment: Drawings serve as the basis for calculating the work volume and payment to the contractor.
- Operational Management: After construction, the drawings are used for managing the operation of the company building, including repairs, maintenance, and upgrades.
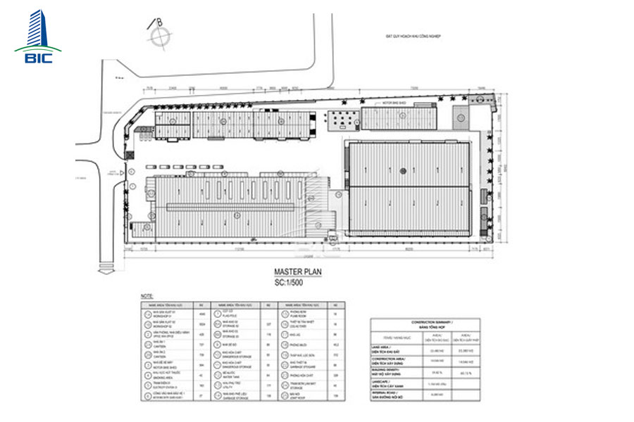
The general site plan with a scale of 1/500 is a type of planning drawing used in company building design and construction to depict the entire layout of a land plot or project at a scale of 1:500. This is a common scale in master planning drawings, designed to provide a clear and detailed view of the entire planned area while remaining compact enough to manage and use easily.
- Detailed Planning: Helps planners and architects make accurate decisions about the overall layout of the land and the structures on it.
- Construction Permit Application: This is one of the mandatory documents in the application for a construction permit, aiding authorities in inspecting and approving the project.
- Construction Management and Supervision: Provides detailed information for contractors and supervisors during construction, ensuring all items are executed according to plan.
- Development Orientation: Helps identify reasonable and sustainable development directions for the planned area.
With the 1/500 general site plan, stakeholders can have a comprehensive and detailed view of the project, ensuring the feasibility and efficiency of implementing the company building design and construction.

Architectural drawings include overall and detailed drawings of the layout of areas within the project. These drawings describe the architectural planning on the site, including elevations and cross-sections. The floor plan must show the height, width, and proportion of the areas in the company building. The elevation provides the general shape of the structure, while the cross-section helps clearly see the details and structure inside the pre-engineered company building you plan to build.
Floor Plan:
- Shows the layout of the building's floors.
- Includes rooms, doors, windows, and functional spaces.
- Determines the dimensions and proportions of areas.
Elevation:
- Displays the exterior faces of the building from different views.
- Shows height, windows, doors, and exterior details.
Cross-Section:
- Cuts through the building to show the internal structure.
- Helps understand the layout and structure better.
- Ensures the project's feasibility and efficiency: Provides a comprehensive and detailed view of the project for stakeholders.
- Saves time and costs: Minimizes errors during construction, thus saving time and costs.
- Enhances the aesthetics and functionality of the building: Helps create structures that are not only visually appealing but also fully functional and convenient.
Thanks to the detail and accuracy of architectural drawings, the implementation of construction projects becomes more efficient and safer, ensuring that the architect's design ideas are fully realized.

Steel structure drawings are a type of specialized technical drawing used for designing company buildings and constructing projects that use steel structures such as company buildings, industrial buildings, bridges, high-rise buildings, and other infrastructure projects. This is an important tool that helps engineers, architects, and contractors understand the arrangement and assembly of steel components in the project.
Steel structure drawings include detailed plans and accurately positioned elements to depict the entire steel structure of the project. The design drawings company building include details about foundations, column bases, beams, trusses, as well as steel columns and crossbars needed. The entire steel frame structure, from foundations to main components such as columns and beams, is detailed in these drawings. This ensures accuracy and efficiency in the design, production, and construction process.
Mechanical and electrical drawings are specialized technical drawings in company building design used to detail the mechanical and electrical systems of a project. These systems include components related to electricity, mechanics, ventilation and air conditioning, water supply and drainage, and fire protection. Mechanical and electrical drawings are important tools that help engineers, contractors, and other stakeholders understand and correctly implement the technical requirements in the company building design and construction.

Electrical System Drawings:
- Circuit Diagrams: Show the main electrical circuits, wiring, electrical panels, outlets, switches, and other electrical devices.
- Control and Protection Diagrams: Include control devices, relays, circuit breakers, and protection systems.
- Lighting Diagrams: Show the positions and types of lighting fixtures, wiring systems, and control switches.
Water Supply and Drainage System Drawings:
- Water Supply Diagrams: Show the positions of water supply pipes, water tanks, valves, and water supply equipment.
- Drainage Diagrams: Show the drainage system, rainwater drainage pipes, wastewater pipes, septic tanks, and discharge points.
HVAC System Drawings:
- Heating System Diagrams: Include heaters, heat pipes, valves, and temperature control units.
- Ventilation System Diagrams: Show the positions of ventilation fans, air ducts, and vents.
- Air Conditioning System Diagrams: Show air conditioners, refrigerant pipes, valves, and temperature control devices.
Fire Protection System Drawings:
- Fire Alarm System Diagrams: Include smoke detectors, alarms, control panels, and wiring.
- Fire Fighting System Diagrams: Show fire extinguishers, automatic sprinkler systems, fire water pipes, and control valves.
- Increases Safety: Ensures that mechanical and electrical systems are installed and operated safely.
- Saves Time and Costs: Minimizes issues during construction and maintenance, thus saving time and costs.
- Ensures Project Quality: Helps mechanical and electrical systems operate efficiently and sustainably, ensuring the overall quality of the project.
Mechanical and electrical drawings are indispensable in the design, construction, and maintenance of construction projects, playing a crucial role in ensuring the efficiency and safety of mechanical and electrical systems.
Pre-engineered company buildings are becoming a popular choice for manufacturing enterprises today. If you need quality design drawings of company buildings, contact BIC immediately to own a quality production building for your business. We are committed to providing optimal solutions and professional services, ensuring satisfaction and success for your project.